Partager l'annonce
Si vous souhaitez partager cette annonce, vous devez accepter l'utilisation des cookies : Gestion des cookies
Gestion de l'annonce
Statistiques de l'annonce
Nombre de vues : 116
Dernière visite le : 16/05 à 18:23
Référence : 492246560





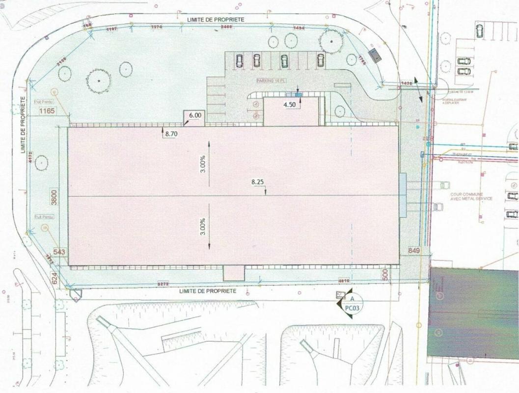
Détail de l'annonce
Spécial investisseur avec 3 locataires en place.
Local de 3 528 m² divisé en 3 lots dont 128 m² de bureaux implanté sur un terrain 7 400 m² environ - plein pied avec accès poids lourds dans un site clos avec portail sur horloge éclairage extérieur et terrain bitumé - bâtiment entièrement isolé avec des hauteurs sous toiture de 7.90 à 8.45 m - 4 portes sectionnelles motorisées de 4.00 x 5.00 mH - possibilité d'installer 2 ponts roulants de 10 T - courant 220 et 380 V 240 Kva - gaz de ville - bureaux vestiaires sanitaires douches - fibre optique baie de brassage et plaintes périphériques RJ 45.
Commentaire(s)
Aucun commentaire